Online Share Transfer process through CDSL

The process of transferring shares from one Demat account to another differs based on whether the receiver has a CDSL or an NSDL Demat account.

If your share transfer is to “CSDL to CDSL” Demat account:

You can use CDSL easiest to transfer shares online to a different CDSL demat account.

Step 1- Register to CDSL EASI

What is CDSL Easi and how to register for it?

CDSL Easi is a portal by Central Depository Services (CDSL) where demat holdings can be viewed, tracked and downloaded.

To register for CDSL Easi, follow these steps:

  1. Visit https://web.cdslindia.com/myeasitoken/Registration/EasiRegistration
  2. Under BO ID, enter the 16-digit demat ID.
  3. Under Password, enter PAN along with the date and month of birth and click on Continue.  For example, if the PAN number is ALWPG5809L and the DOB is 25-03-1993, enter ALWPG5809L2503.

4.  Enter the OTP sent to the registered email ID or mobile number and click on Continue.

5. Enter a username, password, and security question and click on Continue.

6. If multiple demat accounts are held by the same account holder, the demat ID of the accounts can be entered and grouped together. By grouping the demat IDs, multiple demat accounts can be accessed using a single user ID. Click on Continue, and the registration will be successful.

Step 2- Register/ Upgrade to Easiest

How to upgrade from MyEasi to Easiest?

To upgrade from Myeasi to Easiest, follow these steps:

  1. Log in to Myeasi by visiting  https://web.cdslindia.com/myeasi/Home/Login
  2. Click on Miscellaneous and then on Upgrade BO ID to Easiest.

3. Select Trusted account (PIN) as the Account Type, agree to the terms and conditions and click on Submit.

4. Enter the trusted BO ID of the demat account to which the securities are being transferred and click on Submit and verify OTP

5. Post successful registration, download authentication form from cdsl website. Submit duly signed and filled authentication form via raising a ticket through samco website.

Step 3- Transfer Shares

How can I transfer shares from my Samco account using CDSL Easiest?

Once you have registered for easiest, you can follow the following steps to transfer shares:

1. Log in to CDSL Easiest and select ‘Setup’ on the Transaction section.

2. On this page, you need to select ‘Bulk Setup’

3. You need to select ‘Transaction’ and enter the execution date and enter the Beneficiary owner ID(BOID), you need to transfer the shares. 

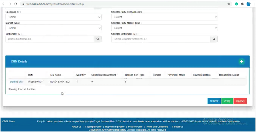
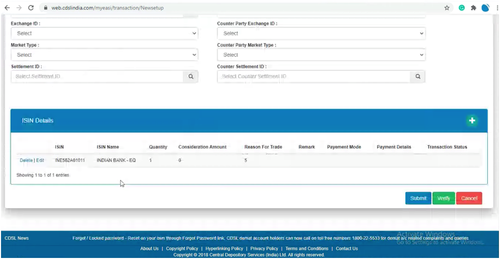
4. You need to select the ISIN. When you click on Account ISINs, you can see a list of all the ISINs in your holdings. Select the ISIN and enter the quantity and select the reason for trade from a list given.

5. You can see the ISIN details here. Now, you need to click on ‘Submit’ to set up.

6. On submission, you will get this message. Next, you need to verify your request.

7. Click on verify

8. You should click on ‘Commit’

9. Enter your CDSL easiest PIN. This is not your 6-digit numeric CDSL TPIN . It is an 8-digit alphanumeric PIN that you would have received on your registered email id when you registered on CDSL easiest.

With this, your share transfer request is submitted.

This is now sent to your DP for confirmation. On confirmation, the request is approved and the transfer will be done.

Post Successful authentication, the share will be transferred to your trusted Demat account within working 24 hours.

Related Articles

Leave A Comment?